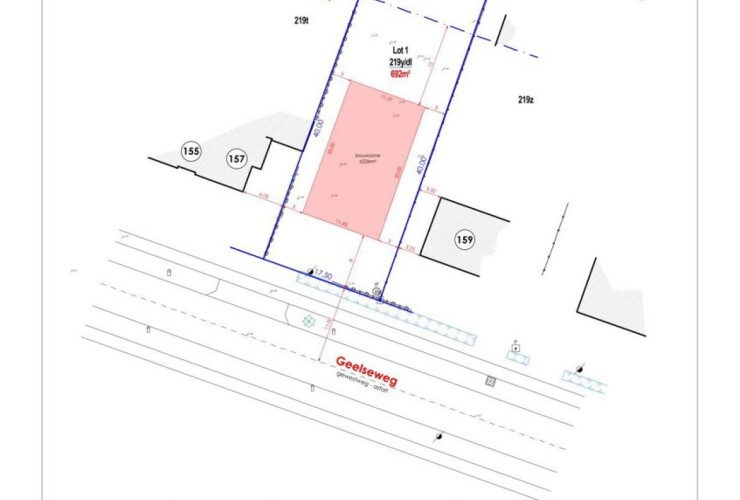
Bouwgrond
2290 Vorselaar
€ 235.000
- Titles.surface_ground832m²