Bouwgrond
€ 280.000

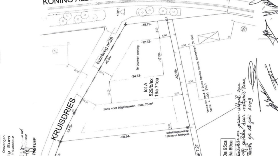
Koning-Albertstraat 33, 2440 Geel
    • delen

Omschrijving Ref.: 7224311

Bouwgrond met achtergelegen weiland in Geel


Ligging: Gunstig gelegen te Geel, alle faciliteiten (winkels, scholen, openbaar vervoer,…) op korte afstand. Vlakbij het centrum en zeer vlot bereikbaar!

Omschrijving: Deze unieke grond heeft een perceelbreedte van 18,79m en komt in aanmerking voor een open bebouwing. Meetplan beschikbaar! Aangrenzend weiland van ca. 6018 m², optioneel bij aan te kopen voor €80.000.

Graag de bouwvoorschriften of meer info? immo@degroot-celen.be
Gvg, Wglk/Ag, Gmo, Gvv, Gvkr

“overstromingsgevoeligheid: P-score klasse D“


Uw contact

Vragen over deze eigendom ref: 7224311
contact

Details van het pand

Financieel

Prijs
€ 280.000,00
Beschikbaarheid
Vanaf akte

Ligging

Buurt
Landelijk
School nabij
Ja
Winkels nabij
Ja
Openbaar vervoer nabij
Ja

Terrein

Grondoppervlakte
1.971,00 m²
Terreindiepte
50,00 m

Stedenbouw

Bestemming
Niet meegedeeld
Bouwvergunning
Niet meegedeeld
Verkavelingsvergunning
Niet meegedeeld
Voorkooprecht
Niet meegedeeld
Dagvaarding
Niet meegedeeld
O-peil
Niet gelegen in een overstromingsgevoelig gebied
P-score
D
Watergevoelig openruimtegebied
Nee

Meer info over deze eigendom

Bedankt voor je bericht, we contacteren je zo spoedig mogelijk.
Er was een probleem bij het versturen van het formulier, gelieve opnieuw te proberen.
U moet de algemene voorwaarden aanvaarden om dit bericht te kunnen verzenden
(*) Gelieve de verplichte velden in te vullen.